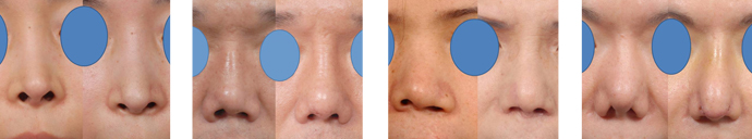
鼻孔塑形2015-08-07
◎项目描述
南京华美鼻部整形中心利用先进的智能机器人五官3D分析设计分析系统,通过手术的方法,在鼻孔内做切口,将鼻孔收窄,使面部整体五官看起来更显协调、自然,术后不会留下瘢痕。
◎手术方法
1、鼻翼部分切除术;
2、鼻基底菱形肌肤切除术;
◎适应症
1、鼻孔扁平;
2、鼻翼不美观的所有人群;
◎优势特点
1、进口仿生材料结合人体自身组织让效果更加持久逼真,完全避免了普通隆鼻后不协调、不自然等问题;
2、鼻部多方位、多角度的精细设计,更为安全有效;
3、采用精细无痕技术,安全有效,隐匿小切口成就自然和谐的唯美鼻型;
◎注意事项
1、尽量不要使鼻部受到外伤;
2、一般患者术后面部肿胀或是出现青紫的情况在术后天开始出现,可以尝试采取适当的冷敷以减轻肿胀症状;
3、勿用用沾到水的受触碰手术切口,避免引起感染;
◎对比图





