鼻翼塑形2015-08-06
 
◎项目描述
鼻翼是鼻部正面形体的表现,适中的鼻翼使得鼻子看起来俊俏玲珑,南京华美鼻部整形中心依据智能机器人五官3D分析设计系统的黄金数据比例,应用精细的手术技巧对鼻翼精细微调,使鼻翼的宽度,高度达到符合面部美的比例标准。
◎手术方法
1、边缘切除法;针对鼻孔过大,在鼻翼沟做切除的缩小小鼻翼的方法;
2、鼻翼软骨外侧脚及中隔软骨下缘修整法;通过修整鼻翼沟处软骨调整鼻翼宽度,修整鼻中隔调整鼻翼高度等综合手术方法;
3、鼻翼衬里部分切除法,针对鼻翼过于肥厚,从内部针对鼻翼软骨组织表面的臃肿软组织做切除;
4、鼻翼上缩,通过调整鼻翼沟侧软骨位置,进行重新缝合,调整鼻翼上缩引起的鼻孔外漏;
5、鼻翼肥厚先天畸形矫正,鼻翼不对称畸形,针对不对称原因进行软骨组织剥离,祛除造成畸形、肥厚不对称的软组织;
◎适应症
1、 鼻翼畸形;
2、 鼻翼肥大;
3、 鼻翼不对称;
◎优势特点
1、运用韩国微整形技术,手术微创无痕,恢复迅速;
2、中韩两国鼻部整形**掌握江苏领先鼻整形技术,能够完全应对各种鼻翼不美观症状;
3、智能机器人五官3D分析设计系统,依据五官基础模拟鼻部形态,为**制定方案提供详实依据;
◎注意事项
1、术后尽量减少活动,防止手术部位碰触;
2、应用抗生素3-5天预防感染;
3、术后两种严禁吸烟以及性生活;
4、术后两周内不要做跑步、游泳等提升血压的运动;
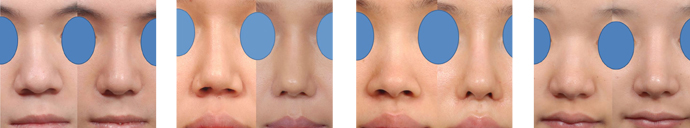
◎对比图





